Open/Close Toolbox
This work is licensed under a Creative Commons Attribution-Noncommercial-Share Alike 3.0 New Zealand License
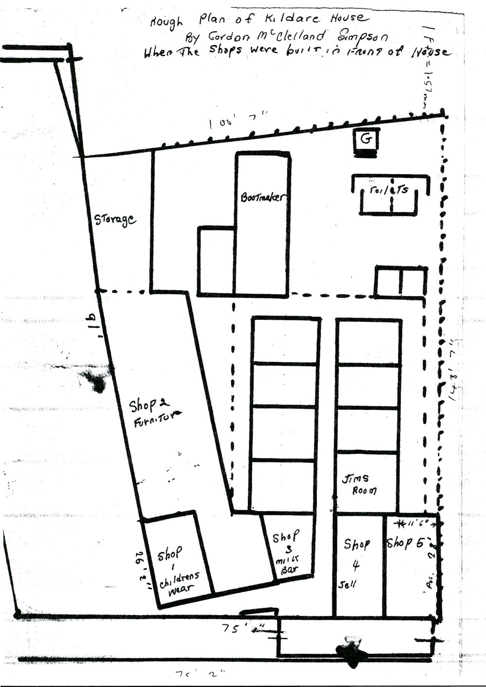
Format: Maps and Plans
Copyright
This work is licensed under a Creative Commons Attribution-Noncommercial-Share Alike 3.0 New Zealand LicenseThis licence lets you remix, tweak, and build upon our work noncommercially, as long as you credit us and license your new creations under these identical terms. You can download, redistribute, translate, make remixes and produce new stories based on our work. All new work based on ours will carry the same licence; so any derivatives will also be noncommercial in nature.
Menu
Click on the image to add
a tag or press ESC to cancel
a tag or press ESC to cancel
Lurline Simpson, Plan of Kildare House and grounds, Blacktown Road, Blacktown, c1952. (c1952). Blacktown Memories, accessed 28/04/2026, https://blacktownmemories.recollect.net.au/nodes/view/15954





